Az értékesítő:
Árvai István
+36 30 333 6688

Eladó lakás Budapest XII. ker, 330 000 000 Ft, 117 négyzetméter

330 000 000 Ft
lakás, 117 négyzetméter
Építőanyag:
Tégla
Egész szobák:
2
Komfort fokozat:
Dupla komfort
Ingatlan állapota:
Átlagos
Azonosító:
11580553
Értékesítés típusa:
eladó
Ingatlan típusa:
lakás
Település:
Budapest XII. ker
Alapterület:
117
Ár:
330 000 000 Ft
Emelet:
1. emelet
Fűtés jellege:
Cirkó
Elhelyezkedés:
Társasház
Kilátás:
panorámás
Építési év:
1-5 éves
Erkély:
Van
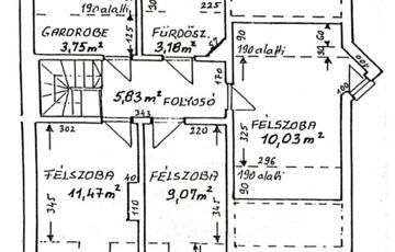
Elhelyezkedése: Társasház Emeleti elhelyezkedés: Emeleten Emelet száma: 1 Épület emeleteinek száma: 2 Tájolása: Dél-nyugai tájolású Állapota: átlagos Komfort besorolása: Dupla komfortos Építési éve: 1990 Alapterülete: 117 m2 Szobák száma: 2 + 4 szoba Közművek: Gáz, Víz, Villany, Csatorna Fűtés típusa: Cirkó Homlokzat állapot: Jó Építési mód: Tégla Parkolási lehetőség: Garázsban Kilátás: Parkra nyíló kilátás Jellemzői: Alacsony rezsi, Csendes környék, Jó közlekedés Energetikai besorolás: Nincs adat Egyéb jellemzők: Erkély Terhelések: Tehermentes ingatlan Eladásra vonatkozó információk: Azonnal beköltözhető 12. kerület, Széchenyihegyen a Hegyhát úton eladó egy belső kétszintes, közepes állapotú, nettó 117 m2 + dupla erkély (8,74 m2 és 4,95 m2), 2 szobás + 4 félszobás, világos, csendes, Széchenyi-hegy erdős területére néző lakás. Az 1991-ben téglából (B30) épült társasház 2 emeletes és 4 lakásos. A lépcsőház karban- és tisztán tartott. Az épület mögött ősfás bekerített park biztosítja a lakók kikapcsolódását és nyugalmát. A lakás további jellemzői: - tehermentes - azonnal birtokba vehető - DNY-i fekvés - beépített konyha gépekkel (sütő, főzőlap, elszívó, mosogatógép) - dupla fürdőszoba zuhanyzóval - dupla wc - gardrób - kamra - riasztó - minden egyedileg mérhető Közös költség: 45.000 Ft/hó (garázzsal) Fűtés: kombi cirkó kazán (télen 40.000 Ft/hó) A lakáshoz tartozik a teremgarázsban 1 db gépkocsi beállóhely és egy 5 m2 tároló, melyeket a vételár tartalmaz. Közlekedés: Normafa kisvasút, buszok (21, 60, 60B, 210B, 212A, 212B, 221) villamos (60) éjszakai járat (990) pár percen belül elérhetőek. Közelben: turistautak, parkok, játszóterek, éttermek, bevásárlási lehetőségek, óvodák, iskolák, bankok, posta, gyógyszertár stb. További információért kérem, hívjon bizalommal, majd nézze meg személyesen, és tegyen egy ajánlatot!
https://ingatlanok.hu/elado/lakas/budapest-xii-ker/330-millio-ft;117-negyzetmeter;6-szoba;tegla-epitesu/11580553